Suppr超能文献

通过单步水热法对分级TiO纳米结构光阳极中来自Ti前驱体的间隙碳掺杂的研究。

Studies on interstitial carbon doping from a Ti precursor in a hierarchical TiO nanostructured photoanode by a single step hydrothermal route.

作者信息

Burungale V V, Bae Hyojung, Kamble A S, Kim J-H, Patil P S, Ha J-S

机构信息

School of Chemical Engineering, Chonnam National University Gwangju 61186 Republic of Korea

Optoelectronics Convergence Research Centre, Chonnam National University Gwangju 61186 Republic of Korea.

出版信息

RSC Adv. 2020 Aug 3;10(48):28492-28500. doi: 10.1039/d0ra04744a.

Abstract

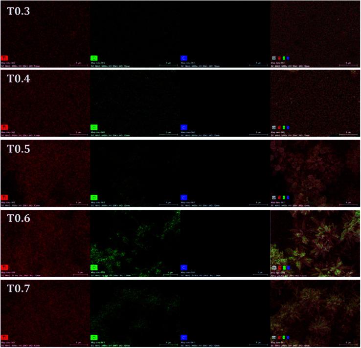
Carbon doping from a Ti precursor in TiO synthesized by a hydrothermal method was studied. The structural, optical and morphological study of the deposited material was carried out using X-ray diffraction, UV-vis spectroscopy and scanning electron microscopy characterization techniques. The elemental composition of the TiO deposited with different precursor concentrations was studied using X-ray photoelectron spectroscopy and electron dispersive X-ray spectroscopy. The amount of elemental carbon in the TiO matrix is found to be increased as the Ti precursor concentration is increased, which strengthens the proposed idea of carbon doping a Ti precursor.

摘要

研究了通过水热法合成的TiO中来自Ti前驱体的碳掺杂。使用X射线衍射、紫外可见光谱和扫描电子显微镜表征技术对沉积材料进行了结构、光学和形态学研究。使用X射线光电子能谱和电子色散X射线能谱研究了不同前驱体浓度下沉积的TiO的元素组成。发现随着Ti前驱体浓度的增加,TiO基体中的元素碳含量增加,这强化了碳掺杂Ti前驱体的观点。

https://cdn.ncbi.nlm.nih.gov/pmc/blobs/2a2a/9055801/95db904df2b1/d0ra04744a-f1.jpg

文献AI研究员

20分钟写一篇综述,助力文献阅读效率提升50倍。

立即体验

用中文搜PubMed

大模型驱动的PubMed中文搜索引擎

马上搜索

文档翻译

学术文献翻译模型,支持多种主流文档格式。

立即体验