Suppr超能文献

咖啡中与生物和非生物胁迫相关的U-box基因家族的全基因组鉴定与表达分析

Genome-wide identification and expression analysis of the U-box gene family related to biotic and abiotic stresses in Coffea canephora L.

作者信息

Liu Shichao, Liu Ruibing, Chen Pengyun, Chu Bo, Gao Shengfeng, Yan Lin, Gou Yafeng, Tian Tian, Wen Siwei, Zhao Chenchen, Sun Shiwei

机构信息

Spice and Beverage Research Institute, Chinese Academy of Tropical Agricultural Sciences, Wanning, Hainan, 571533, China.

Key Laboratory of Genetic Improvement and Quality Regulation for Tropical Spice and Beverage Crops of Hainan Province, Wanning, Hainan, 571533, China.

出版信息

BMC Genomics. 2024 Oct 1;25(1):916. doi: 10.1186/s12864-024-10745-w.

Abstract

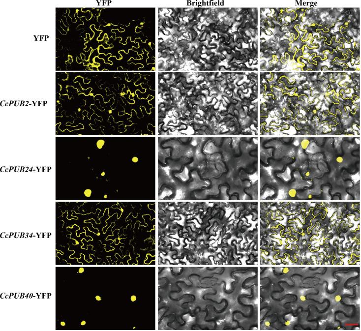
Plant U-box genes play an important role in the regulation of plant hormone signal transduction, stress tolerance, and pathogen resistance; however, their functions in coffee (Coffea canephora L.) remain largely unexplored. In this study, we identified 47 CcPUB genes in the C. canephora L. genome, clustering them into nine groups via phylogenetic tree. The CcPUB genes were unevenly distributed across the 11 chromosomes of C. canephora L., with the majority (11) on chromosome 2 and none on chromosome 8. The cis-acting elements analysis showed that CcPUB genes were involved in abiotic and biotic stresses, phytohormone responsive, and plant growth and development. RNA-seq data revealed diverse expression patterns of CcPUB genes across leaves, stems, and fruits tissues. qRT-PCR analyses under dehydration, low temperature, SA, and Colletotrichum stresses showed significant up-regulation of CcPUB2, CcPUB24, CcPUB34, and CcPUB40 in leaves. Furthermore, subcellular localization showed CcPUB2 and CcPUB34 were located in the plasma membrane and nucleus, and CcPUB24 and CcPUB40 were located in the nucleus. This study provides valuable insights into the roles of PUB genes in stress responses and phytohormone signaling in C. canephora L., and provided basis for functional characterization of PUB genes in C. canephora L.

摘要

植物U-box基因在植物激素信号转导、胁迫耐受性和病原体抗性调控中发挥着重要作用;然而,它们在咖啡(Coffea canephora L.)中的功能仍 largely未被探索。在本研究中,我们在C. canephora L.基因组中鉴定出47个CcPUB基因,通过系统发育树将它们分为九组。CcPUB基因在C. canephora L.的11条染色体上分布不均,多数(11个)位于2号染色体上,8号染色体上没有。顺式作用元件分析表明,CcPUB基因参与非生物和生物胁迫、植物激素响应以及植物生长发育。RNA-seq数据揭示了CcPUB基因在叶、茎和果实组织中的多种表达模式。脱水、低温、SA和炭疽菌胁迫下的qRT-PCR分析表明,叶片中CcPUB2、CcPUB24、CcPUB34和CcPUB40显著上调。此外,亚细胞定位表明CcPUB2和CcPUB34位于质膜和细胞核中,CcPUB24和CcPUB40位于细胞核中。本研究为PUB基因在C. canephora L.的胁迫响应和植物激素信号传导中的作用提供了有价值的见解,并为C. canephora L.中PUB基因的功能表征提供了基础。

https://cdn.ncbi.nlm.nih.gov/pmc/blobs/9032/11443674/01a4d1ebaa98/12864_2024_10745_Fig1_HTML.jpg

文献AI研究员

20分钟写一篇综述,助力文献阅读效率提升50倍。

立即体验

用中文搜PubMed

大模型驱动的PubMed中文搜索引擎

马上搜索

文档翻译

学术文献翻译模型,支持多种主流文档格式。

立即体验