Suppr超能文献

用膦酸对钛表面进行生物功能化的有效性

Effectiveness of Biofunctionalization of Titanium Surfaces with Phosphonic Acid.

作者信息

Aresti Ainhoa, Aragoneses Javier, López-Valverde Nansi, Suárez Ana, Aragoneses Juan Manuel

机构信息

Department of Medicine and Medical Specialties, Faculty of Medicine and Health Sciences, Universidad Alcalá de Henares, 28871 Madrid, Spain.

Department of Surgery, Instituto de Investigación Biomédica de Salamanca (IBSAL), University of Salamanca, 37007 Salamanca, Spain.

出版信息

Biomedicines. 2021 Nov 11;9(11):1663. doi: 10.3390/biomedicines9111663.

Abstract

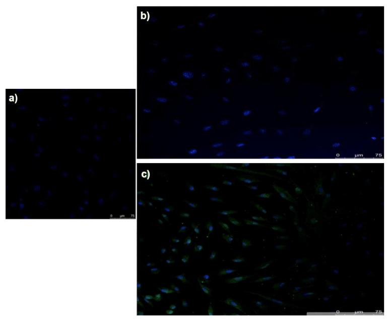
Surface functionalization of dental implant surfaces has been a developing field in biomaterial research. This study aimed to obtain self-assembled monolayers (SAMs) using carboxyethylphosphonic acid on the surface of titanium (Ti) screws, and assessed the surface characteristics, biomechanical, and cellular behavior on the obtained specimens. This study had three groups, i.e., a control (untreated screws), a test group treated with phosphonic acid, and a third group with treated acid and bone morphogenetic protein (BMP-2) for in vitro analysis of cell lines. The assessed parameters included surface wettability, surface characteristics using scanning electron microscopy (SEM), protein immobilization, and cellular behavior of fibroblasts and mesenchymal stem cells of adipose tissue (MSCat cells). For surface wettability, a Welch test was performed to compare the contact angles between control (67 ± 1.83) and test (18.84 ± 0.72) groups, and a difference was observed in the mean measurements, but was not statistically significant. The SEM analysis showed significant surface roughness on the test screws and the cellular behavior of fibroblasts, and MSCat cells were significantly improved in this group, with fibroblasts having a polygonal shape with numerous vesicles and MSCat cells stable and uniformly coating the test Ti surface. Surface biofunctionalization of Ti surfaces with phosphonic acid showed promising results in this study, but remains to be clinically validated for its applications.

摘要

牙种植体表面功能化一直是生物材料研究中的一个发展领域。本研究旨在使用羧乙基膦酸在钛(Ti)螺钉表面获得自组装单分子层(SAMs),并评估所得标本的表面特性、生物力学和细胞行为。本研究分为三组,即对照组(未处理的螺钉)、用膦酸处理的试验组以及用处理过的酸和骨形态发生蛋白(BMP-2)处理的第三组,用于细胞系的体外分析。评估参数包括表面润湿性、使用扫描电子显微镜(SEM)的表面特性、蛋白质固定以及成纤维细胞和脂肪组织间充质干细胞(MSCat细胞)的细胞行为。对于表面润湿性,进行了韦尔奇检验以比较对照组(67±1.83)和试验组(18.84±0.72)之间的接触角,平均测量值存在差异,但无统计学意义。SEM分析显示试验螺钉表面粗糙度显著,该组中成纤维细胞和MSCat细胞的细胞行为显著改善,成纤维细胞呈多边形,有许多小泡,MSCat细胞稳定且均匀地覆盖在试验Ti表面。在本研究中,用膦酸对Ti表面进行生物功能化显示出有前景的结果,但其应用仍有待临床验证。

https://cdn.ncbi.nlm.nih.gov/pmc/blobs/3c56/8615956/3d415a2f55cc/biomedicines-09-01663-g001.jpg

文献AI研究员

20分钟写一篇综述,助力文献阅读效率提升50倍。

立即体验

用中文搜PubMed

大模型驱动的PubMed中文搜索引擎

马上搜索

文档翻译

学术文献翻译模型,支持多种主流文档格式。

立即体验