Suppr超能文献

基于明胶(猪源和牛源)的载有留兰香精油的可食用薄膜性能的比较研究。

A Comparative Study of the Properties of Gelatin (Porcine and Bovine)-Based Edible Films Loaded with Spearmint Essential Oil.

作者信息

Bhatia Saurabh, Al-Harrasi Ahmed, Jawad Muhammad, Shah Yasir Abbas, Al-Azri Mohammed Said, Ullah Sana, Anwer Md Khalid, Aldawsari Mohammed F, Koca Esra, Aydemir Levent Yurdaer

机构信息

Natural and Medical Sciences Research Center, University of Nizwa, Birkat Al Mauz, P.O. Box 33, Nizwa 616, Oman.

School of Health Science, University of Petroleum and Energy Studies, Dehradun 248007, India.

出版信息

Biomimetics (Basel). 2023 Apr 21;8(2):172. doi: 10.3390/biomimetics8020172.

Abstract

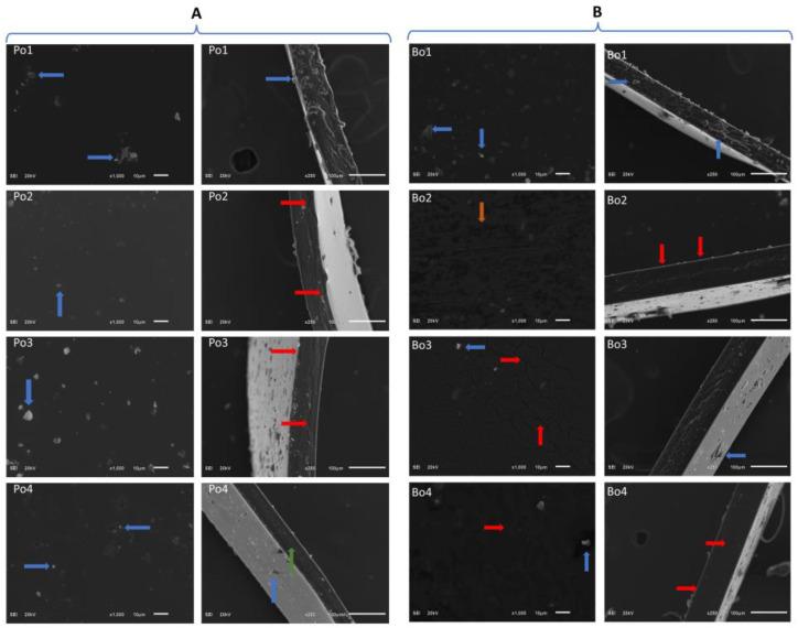
Gelatin (bovine/porcine)-based edible films are considered as an excellent carrier for essential oils (EOs) to preserve food quality and extend their shelf life. Spearmint essential oil (SEO) is known for its potential antioxidant and antimicrobial effects; nevertheless, its food applications are limited due to the volatile nature of its active components. Thus, edible films loaded with essential oil can be an alternative to synthetic preservatives to improve their food applications. In the present study, the effect of SEO addition was investigated on the physicochemical properties of bovine and porcine gelatin films, and antioxidant activity was assessed. GCMS (Gas chromatography mass spectrometry) analysis revealed the presence of carvone (55%) and limonene (25.3%) as major components. The incorporation of SEO into the films decreased the opacity, moisture content, water solubility, and elongation at break of bovine and porcine gelatin films. However, with the addition of EO, the thickness and water vapor permeability of bovine and porcine-based gelatin films increased. Moreover, the addition of SEO increased the tensile strength (TS) of the porcine-based film, whereas bovine samples demonstrated a decrease in tensile strength. XRD (X-ray diffraction) findings revealed a decrease in the percentage crystallinity of both types of gelatin films. SEM (scanning electron microscope) results showed the changes in the morphology of films after the addition of SEO. Antioxidant properties significantly increased with the incorporation of EO ( < 0.05) when compared with control films. Therefore, the addition of SEO to gelatin-based edible films could be an effective approach to prepare an active food packaging material to prevent food oxidation.

摘要

基于明胶(牛/猪)的可食用薄膜被认为是保存食品质量和延长保质期的精油(EOs)的优良载体。留兰香精油(SEO)以其潜在的抗氧化和抗菌作用而闻名;然而,由于其活性成分的挥发性,其在食品中的应用受到限制。因此,负载精油的可食用薄膜可以作为合成防腐剂的替代品,以改善其在食品中的应用。在本研究中,研究了添加SEO对牛和猪明胶薄膜理化性质的影响,并评估了抗氧化活性。气相色谱-质谱联用(GCMS)分析表明,主要成分是香芹酮(55%)和柠檬烯(25.3%)。将SEO掺入薄膜中降低了牛和猪明胶薄膜的不透明度、水分含量、水溶性和断裂伸长率。然而,随着EO的添加,牛和猪基明胶薄膜的厚度和水蒸气透过率增加。此外,添加SEO提高了猪基薄膜的拉伸强度(TS),而牛基样品的拉伸强度则有所下降。X射线衍射(XRD)结果表明,两种明胶薄膜的结晶度百分比均有所下降。扫描电子显微镜(SEM)结果显示了添加SEO后薄膜形态的变化。与对照薄膜相比,掺入EO后抗氧化性能显著提高(<0.05)。因此,在基于明胶的可食用薄膜中添加SEO可能是制备活性食品包装材料以防止食品氧化的有效方法。

https://cdn.ncbi.nlm.nih.gov/pmc/blobs/e8e2/10123696/345613002f79/biomimetics-08-00172-g001.jpg

文献AI研究员

20分钟写一篇综述,助力文献阅读效率提升50倍。

立即体验

用中文搜PubMed

大模型驱动的PubMed中文搜索引擎

马上搜索

文档翻译

学术文献翻译模型,支持多种主流文档格式。

立即体验