Suppr超能文献

多药耐药菌的全身反应以及随后暴露于抗菌肽 Cathelicidin-BF 下,暗示存在多个细胞内靶点。

Systemic Responses of Multidrug-Resistant and Following Exposure to the Antimicrobial Peptide Cathelicidin-BF Imply Multiple Intracellular Targets.

机构信息

Laboratory of Molecular Immunology, Institute of Medical Biology, Chinese Academy of Medical Sciences and Peking Union Medical College, Kunming, China.

Department of Clinical Lab, The First Affiliated Hospital of Kunming Medical University, Kunming, China.

出版信息

Front Cell Infect Microbiol. 2017 Nov 7;7:466. doi: 10.3389/fcimb.2017.00466. eCollection 2017.

Abstract

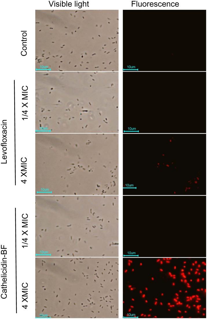
Cathelicidin-BF, derived from the banded krait (), is a typically cationic, amphiphilic and α-helical antimicrobial peptide (AMP) with 30 amino acids that exerts powerful effects on multidrug-resistant (MDR) clinical isolates, including , and , but whether it targets plasma membranes or intracellular targets to kill bacteria is still controversial. In the present study, we demonstrated that the disruption of bacterial membranes with high concentrations of cathelicidin-BF was the cause of bacterial death, as with conventional antibiotics at high concentrations. At lower concentrations, cathelicidin-BF did not cause bacterial plasma membrane disruption, but it was able to cross the membrane and aggregate at the nucleoid regions. Functional proteins of the transcription processes of and were affected by sublethal doses of cathelicidin-BF, as demonstrated by comparative proteomics using isobaric tags for relative and absolute quantification and subsequent gene ontology (GO) analysis. Analysis using the Kyoto Encyclopedia of Genes and Genomes showed that cathelicidin-BF mainly interferes with metabolic pathways related to amino acid synthesis, metabolism of cofactors and vitamins, metabolism of purine and energy supply, and other processes. Although specific targets of cathelicidin-BF must still be validated, our study offers strong evidence that cathelicidin-BF may act upon intracellular targets to kill superbugs, which may be helpful for further efforts to discover novel antibiotics to fight against them.

摘要

抗菌肽 BF 来源于眼镜蛇科(),是一种典型的阳离子、两亲性和 α-螺旋抗菌肽(AMP),由 30 个氨基酸组成,对包括、和在内的多药耐药(MDR)临床分离株具有强大的作用,但它是针对质膜还是细胞内靶标来杀死细菌仍存在争议。在本研究中,我们证明了高浓度抗菌肽 BF 破坏细菌膜是导致细菌死亡的原因,就像高浓度的传统抗生素一样。在较低浓度下,抗菌肽 BF 不会引起细菌质膜破裂,但它能够穿过膜并在核区聚集。通过使用相对和绝对定量同位素标记技术(iTRAQ)进行比较蛋白质组学分析,并随后进行基因本体论(GO)分析,证明了 cathelicidin-BF 对和转录过程的功能蛋白有亚致死剂量的影响。京都基因与基因组百科全书(KEGG)分析表明,cathelicidin-BF 主要干扰与氨基酸合成、辅因子和维生素代谢、嘌呤代谢和能量供应以及其他过程相关的代谢途径。虽然 cathelicidin-BF 的特定靶标仍需验证,但我们的研究提供了强有力的证据表明,cathelicidin-BF 可能针对细胞内靶标来杀死超级细菌,这可能有助于进一步努力发现新型抗生素来对抗它们。

https://cdn.ncbi.nlm.nih.gov/pmc/blobs/3b65/5681922/52703b2c5aaa/fcimb-07-00466-g0001.jpg

文献AI研究员

20分钟写一篇综述,助力文献阅读效率提升50倍。

立即体验

用中文搜PubMed

大模型驱动的PubMed中文搜索引擎

马上搜索

文档翻译

学术文献翻译模型,支持多种主流文档格式。

立即体验